ふなばし動物医療センター かつまペットクリニック
KATSUMA PET CLINIC
股関節形成不全についてお話します
股関節形成不全(Hip Dysplasia)とは、骨格形成期に骨の変形や関節の緩みなど形態的な異常が起き、骨盤の骨と後肢の骨が正常に噛み合わなくなることで様々な症状を引き起こす病気です。犬も猫も罹患しますが、猫の場合は犬に比べて罹患率が少なく、遺伝的な要因がほとんどなので、ここでは犬の股関節形成不全について解説していきます。
大型犬に多く見られる股関節形成不全
犬の股関節形成不全は遺伝的な要因が7割、環境的な要因が3割と言われています。遺伝的な要因とは、股関節形成不全の因子を持つ親犬から生まれたという意味だけでなく、健常な親犬から生まれた場合でも一定の割合で必ず発生することを意味します。
一方、環境的な要因とは、食生活の偏りや運動不足による肥満、成長期の激しい運動や関節に負担の大きい生活空間等に由来することを意味します。
大型犬は短期間で身体が大きく育つため、成長期は骨の成長と筋肉形成のバランスが崩れて関節が不安定になりやすいリスクがあります。不安定な状態で前述の生活習慣を続けると、体重の過負荷で関節炎が生じたり、関節炎が悪化して骨が変形するなど、股関節の健全な形成が妨げられてしまうのです。
基礎知識①
股関節は骨盤と大腿骨を連結させる関節です
異常が認められる股関節(股関節形成不全)とは…
- 両側もしくは片側の骨が変形
- 骨盤側の凹みが浅く大腿骨がはずれやすい(脱臼、亜脱臼)
- 大腿骨の骨頭(先端の球状部分)が変形している
- 関節が滑らかに動かせず可動域も狭まっている
- 骨同士の凹凸が合っていないので支持組織や骨頭にダメージ
- 軟骨の損傷、関節炎、骨関節炎
基礎知識②
股関節形成不全になりやすい「犬種」があります
好発犬種
ゴールデン・レトリーバー、ラブラドール・レトリーバー、セント・バーナード、バーニーズ・マウンテンドッグ、オールド・イングリッシュ・シープドッグ、ジャーマン・シェパードなど
基礎知識③
股関節形成不全と小型犬について
股関節形成不全は小型犬や中型犬でも罹りうる病気です。しかし、特に小型犬は大型犬に比べて成長期での診断が難しく、股関節の異常が見られた場合の検査でも、小型犬が罹りやすい股関節の病気であるレッグペルテス(大腿骨頭が壊死して関節炎や骨折を引き起こす)や、同じく小型犬に多く見られる股関節脱臼を最初に疑うことが一般的であるため、診断プロセスでは類似疾患との鑑別(*)が重要になります。
(*)ふるいにかけて除外していくこと
股関節形成不全の「症状」と「行動」
股関節形成不全は、犬種や年齢によって症状の現れ方が異なります。股関節形成不全の症状とは、股関節の形態的な異常が原因となって起こる二次的な病態となりますので、症状の出方には幅があります。また、成長や筋肉の増大にともなってそれまでの症状が一時的に消えることもありますが、その場合も根本原因である股関節形成不全が解消したわけではありませんので、関節ケアや体重管理を通して生涯つきあっていく心構えが必要です。
よくある股関節形成不全の症状~3つのタイプ
| 年齢 | 症状 |
|---|---|
| 若齢(1歳以下) | 関節の緩みによる関節炎で痛みがひどくなったりやわらいだりを繰り返す |
| 若齢(2歳以下) | レントゲン検査で股関節形成不全が発見されたが無症状 |
| 中高齢 | 股関節形成不全による関節炎が年齢とともに進行して完治困難な変形性関節症に移行 |
愛犬のこんな行動に気づいたら早めの受診をおすすめします
股関節形成不全は、多くの場合、軟骨の損傷や変性を引き起こすため、炎症や痛みを伴います。暮らしの中で以下のような行動変化に気づいたら、様子を見ずに早めに受診してください。
- 腰を振って歩く(モンローウォーク)
- 後ろ肢の動きが不自由そうに見える、フラフラと不自然な歩き方をする
- 散歩の途中で座り込んでしまう、以前ほど散歩を喜ばない、長距離を歩けない
- 階段を嫌がる、ソファや車に飛び乗らなくなった
- 横座りをするようになった
- 足腰に触れられるのを嫌がる
- 走る時はウサギ跳びのように後ろ足を同時に出している
股関節形成不全の「診断」について
股関節形成不全が確定診断に至るまでの流れは次の通りです。問診
気になる症状について飼い主様から詳しくお話をうかがいます。
整形外科的検査
- 触診~起立姿勢に異常がないか、腰幅の形状や前肢と後肢の左右幅に違いがないかなど、状態と痛みの有無を確認します。腰や後肢に触れ、大腿周囲径を比較して筋肉量の左右差をチェックしたり、起立した状態で背中を押してみたり、股関節を伸展させて可動域や緩みの有無を確認します。大転子を押さえ、歩かせた時に股関節がコツコツと音を立てるかどうか(クランキング・ヒップ)も調べます。
- 歩様検査、跛行検査~歩く時の前肢と後肢の歩幅の違い、頭を下げて歩くか、左右に腰を振るか、後肢がはねるか引き摺るか、両方の前肢を持ち上げて立たせると嫌がるか等、細かく丁寧に観察して評価します。
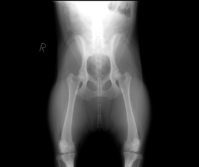
画像検査
レントゲン検査で股関節の状態を確認します。撮影は仰向けで左右対称になるよう固定する「股関節伸展位標準撮影法」で行われるのが一般的な方法ですが、この方法では関節炎などの病変を伴わない状態で股関節の緩みを正確に判断することが難しく、また2歳以上にならないと最終診断が難しいという難点があります。そこで当院では、病変が現れる前から〝股関節の緩み〟を評価できる特殊なレントゲン検査・Penn HIP(ペンヒップ)法を導入、16週齢という幼齢期から科学的に股関節形成不全の予兆を評価し、より正確に早期診断することによって早期の治療につなげることを可能にしています。
Penn HIP
米国ペンシルバニア大学のゲイル・スミス博士によって開発された〝股関節の緩み〟を評価する特殊なレントゲン検査。股関節形成不全を発症するリスクについて科学的に診断することで予防・早期発見・軽症化が可能になります。撮影はPenn HIP認定獣医師のライセンスをもつ獣医師のみが行うことができ、撮影したX線画像を専門機関であるAIS(ANTECH Imaging Services)に送り、評価を依頼します。
[撮影方法]
伸延ストレスをかける専用器具(ディストラクター)を用い、股関節を外側に最大まで伸展させて撮影します。筋肉が弛緩してリラックスした状態で撮影する必要があるため、鎮静剤または全身麻酔を使用します。
※この撮影方法により、股関節がより酷くなることや、損傷が生じる事はありません。
また、Penn HIPのレントゲン撮影は、股関節が生理的に緩くなる妊娠している犬、または股関節に重篤な病態を抱えた犬には行えません。
また、Penn HIPのレントゲン撮影は、股関節が生理的に緩くなる妊娠している犬、または股関節に重篤な病態を抱えた犬には行えません。
-
Hip-Extended View最初に足を伸展させる一般的な方法で撮影します。股関節の一般状態や骨関節炎の存在を確認するために撮影します。 -
Compression View大腿骨頭が寛骨臼にどれくらいしっかりとはまるか、正中に向かって足を押し込み撮影します。また、股関節の緩みを測定するために必要な大腿骨頭のランドマークを確認します。 -
Distraction View最後に、専用器具を用い、股関節をテコの原理で外すような適度な力を加え、どれくらい股関節が緩むかを確認します。
確定診断
股関節の緩みと骨関節の評価を行い、総合的に判断して股関節形成不全の診断を行います。飼い主様には症例についてくわしく説明し、治療法を提示します。股関節形成不全の治療法には、内科的・保存的治療と外科的治療(手術)があり、股関節の状態、関節炎の所見、診断時の年齢等をもとにご提案する治療法の中から選択していただきます。
治療
内科的・保存的治療中高齢になって関節炎が進行してきたケース等に多く適応されます。疼痛緩和が主目的です。
▶体重管理による関節負担の軽減
▶抗炎症剤、鎮痛剤、軟骨保護剤・サプリメントの投与
▶理学療法(温熱、レーザー)、運動療法(リハビリ、マッサージ)
外科的治療
若齢で機能回復や進行予防を目的にする場合、ならびに内科的治療が奏功しない場合に多く適応されます。「予防的治療法」と「救済的治療法」があります。
予防的治療法 ~構造矯正と機能温存、変形性関節症の予防
| 手術名称 | 適応 | 利点・欠点 |
|---|---|---|
|
若齢犬の恥骨結合を
JPS 恥骨結合固定術
電気メスで焼く |
Penn HIPにより16週齢時で早期診断できた中型・大型犬 |
○非常に短時間で済み、予後も良好
△Penn HIP法でなければ早期診断できない
|
|
腸骨・恥骨の二点を切る
DPO 二点骨盤骨切術
骨盤矯正術 |
Penn HIPにより28週齢以下で早期診断できた中型・大型犬、股関節に緩みがあっても関節の変性がない成長期の中型・大型犬 |
○股関節を温存した上で機能回復できる、TPOに比べて合併症リスクが少ない
△適応年齢が限られている、骨癒合まで時間がかかる
|
|
座骨を含め三点を切る
TPO 三点骨盤骨切術
骨盤矯正術 |
※DPOと同様の適応ですが現在の主流はTPOです |
○股関節を温存した上で機能回復できる
△座骨も切るのでDPOに比べて合併症リスクが高い、骨癒合まで時間がかかる
|
救済的治療法 ~疼痛からの解放、人工的に股関節を再建
| 手術名称 | 適応 | 利点・欠点 |
|---|---|---|
|
人工股関節で
THR 股関節全置換術
骨盤を再建する |
8カ月齢以上の中型犬、大型犬 |
○術後の機能回復が非常に早い
△人工関節の個体適合性等により手術の可不可がある、再脱臼、ルースニング、骨折などの合併症のリスク
|
|
障害された
FHO 大腿骨頭切除術
大腿骨頭を切除する |
小型犬(中〜大型犬では予後不良) |
○手術による合併症が少ない
△術後の機能回復に時間がかかる(半年〜1年)、要リハビリ
|
★上記手術に際しては、必要に応じてCT検査でより詳細な状態把握をする場合があります。
★小型犬の股関節脱臼については①非観血的整復と包帯による固定、②外科的に整復(トグルピン法)、③FHO(大腿骨頭切除術)、④THR(股関節全置換術)のいずれかが選択肢となります。
★小型犬の股関節脱臼については①非観血的整復と包帯による固定、②外科的に整復(トグルピン法)、③FHO(大腿骨頭切除術)、④THR(股関節全置換術)のいずれかが選択肢となります。
股関節形成不全の治療と予防の原則
股関節形成不全の治療法は、年齢や犬種、また関節炎など二次変性を起こしているか等によって変わってきますが、すべてに共通して言える原則があります。- 形成不全と診断された股関節でも適切な治療によって正常に近いレベルまで機能を回復することができる
- 関節の支持組織である軟骨は一度損傷を受けると元通りには復元できない
- 早期発見・早期治療が基本であり、早期発見は早ければ早いほど良い
- 食生活に気を配り、適正体重にコントロールして肥満と関節への過負荷を防ぐ
- 好発犬種は特に異常がなくても1〜2歳までに整形外科的検査を受ける
- 骨格が未熟な若齢期に激しい運動をさせない
- 股関節に過負荷を与えない生活環境を整える
- 日頃から歩きや動きに変化がないか意識を向けておく
股関節形成不全の外科的治療は〝スムーズに動ける体〟を取り戻すことで動物のQOLを著しく向上させることができますが、症状と年齢を天秤にかけ、手術に最も適した時期にその子に最も適した手術を行うことが重要です。
飼い主様には術後のケアや合併症のリスクにも向き合った上で慎重に決断することが求められるほか、手術をしてもしなくても体重管理は生涯続けていただくことになります。
飼い主様には術後のケアや合併症のリスクにも向き合った上で慎重に決断することが求められるほか、手術をしてもしなくても体重管理は生涯続けていただくことになります。
ふなばし動物医療センター かつまペットクリニックでは
整形外科の専門診療をおこなっております。
お気軽にご相談ください。
整形外科の専門診療をおこなっております。
お気軽にご相談ください。
